Wokingham Housing (WHL) said it has just completed the final site clearance work on behalf of Wokingham Borough Council (WBC) at the old Woodley Age Concern site at Southlake Crescent.
The former day care centre – which was closed after it went into administration in 2016 and a subsequent rescue bid by Wokingham Borough Council was found to be nonviable – has been razed to the ground in preparation for affordable housing to be built on site.
You can read our exclusive interview with Cllr Richard Dolinski about the plans in the current edition of The Wokingham Paper, which is now on sale.
The buildings have been removed along with trees and shrubs on the site.
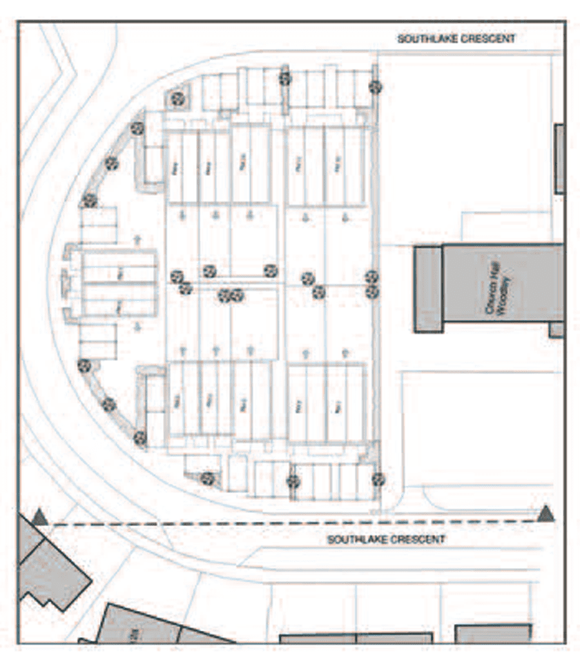
WHL is currently finalising options for developing this site to make the best use of the land and further proposals will be submitted to WBC to provide much needed social and affordable housing in this area. The Wokingham Paper understands that 13 homes will be built, with an emphasis on two-bedroom houses.
The trees will be replaced. WHL said that as part of the site appraisal process it carried out a comprehensive tree survey of the existing trees on the site.

Surveys showed that the trees were of moderate condition, but unfortunately diseased and therefore had limited lifespans. After consultation with the planning and environmental teams the decision was made that the trees would be removed as part of an overall site clearance programme rather than at an inevitable later date.
WHL added that it strives to keep the impact of any development on the surrounding landscape to a minimum. And it is fully committed to ensuring that any new development has a replacement tree planting requirement that will introduce better species of trees for future generations to enjoy.

The Chairman of WHL, Alistair Auty said: “WHL are committed to the delivery of affordable housing for residents within the Borough.
“We are proposing to submit a planning application for a new development of 12-14 high quality affordable homes, which are much needed within Woodley.
“Full landscaping and new trees will be incorporated into this design to mitigate the loss of the existing trees.”









































